Bloomberg: Siêu bão Mangkhut sẽ "nhấn chìm" 120 tỉ USD, riêng TQ mất hơn 100 tỉ USD
Tới thời điểm hiện tại, chính phủ Philippines cho biết chưa ghi nhận được thương vong về người khi cơn bão này tiếp tục gây ra mưa lớn tại Luzon. Giao thông tại các khu vực này đã hoàn toàn tê liệt, hầu hết đường bộ đều ngập trong nước và toàn bộ sân bay phải đóng cửa. JTWC cho biết Mangkhut hiện giữ sức gió ở mức 212km/h.
Theo Bloomberg, bão Mangkhut sẽ tiến vào vùng Biển Đông, đe dọa bờ biển Quảng Đông và khu vực Hồng Kông vào ngày 15/9 với thiệt hại về cơ sở hạ tầng và kinh tế ước tính lên tới 120 tỉ USD.
Chuck Watson - một chuyên gia về thiên tai tại Viện Nghiên cứu Enki ở Savannah, Georgie - cho biết Trung Quốc sẽ thiệt hại khoảng 100 tỉ USD, riêng Hồng Kông chịu tổn thất 26 tỉ USD. Trong khi đó, Philippines mất khoảng 20 tỉ USD, tương đương gần 6,6% GDP quốc gia này.
Trong viễn cảnh tồi tệ nhất, nếu bão tiến thẳng vào Hồng Kông - khoảng 48km về phía bắc theo dự báo chính thức - thì thiệt hại kinh tế khu vực này có thể lên tới 135 tỉ USD và tổn thất cho Trung Quốc nói chung là 230 tỉ USD.
|
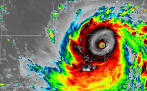
Bão Mangkhut đổ bộ Philippines. Ảnh: AP
"Tình hình đang rất xấu. Bất kì cơn bão nào tiến vào Hồng Kông cũng để lại hậu quả nghiêm trọng," ông Watson nói.
Tại Philippines, chính quyền địa phương đã lệnh sơ tán 56.000 người. Theo Edgar Posadas, một đại diện từ cơ quan kiểm soát thiên tai, có tới gần 1 triệu người Philippines sống dọc các vùng ven biển hoặc sống trong các căn nhà thiếu kiên cố dọc đường đi của bão.
Các đường dây liên lạc đã bị cắt đứt tại miền bắc tỉnh Cagayan, khiến chính quyền địa phương không thể liên lạc được những vùng cách xa trung tâm. Gió mạnh đã làm tốc mái, phá hoại nhiều công trình và làm đổ cây lớn. Cơ quan khí tượng cảnh báo sóng tại các bờ biển có thể cao tới 6m.
"Người săn bão" James Reynolds đã trú tại một khách sạn ở Santa Ana thuộc tỉnh Cagayan khi cơn bão đổ bộ.
Trả lời CNN, anh cho biết: "Các ván gỗ và mảnh kính bay dọc hành lang. Cảnh tượng thực sự kinh hoàng. Tôi không thể tưởng tượng được những người sống trong những túp lều hay nhà thiếu kiên cố sẽ chống chịu cơn bão này như thế nào".
Hầu hết cư dân ở miền bắc Luzon thuộc cộng đồng những hộ gia đình nông, cách xa khu thành thị. Nhiều cảnh báo về nguy cơ lũ quét và sạt lở đất đã được đưa ra.
-
9 cơn bão cùng hoành hành Trái Đất: Siêu bão mạnh nhất có nguy cơ ảnh hưởng tới Việt Nam
Theo Manila Electric, một số khu vực đã bị cắt điện hoàn toàn, kể cả tại thủ đô Philippines - cách Cagayan 275 km. Trên Twitter, Ủy ban Phát triển Manila cho biết các con phố đều đã bị ngập và phương tiện không thể đi lại được.
Đài khí tượng Hồng Kông đưa ra Cảnh báo Gió cấp độ 3 vào tối ngày hôm qua và yêu cầu người dân bảo vệ tài sản và tàu bè trước những đợt gió lớn.
Jeff Masters, một nhà khí tượng học tại Michigan, đánh giá gió từ bão Mangkhut sẽ không giữ được cường độ mạnh khi tiến vào Trung Quốc. Các cơn bão thường giảm sức mạnh khi đổ bộ vào đất liền và có khả năng Mangkhut sẽ không tiếp tục mạnh lên nữa sau khi tấn công Philippines.
"Nếu xét về thiệt hại, thì Hồng Kông vẫn là khu vực đáng ngại nhất," ông Masters nói.
Mangkhut đổ bộ đất liền vài giờ sau khi bão Florence tại biển Atlantic tiến vào bờ biển North Carolina. Sau đó, bão Florence đã giảm từ bão Cấp 4 xuống bão nhiệt đới.
Siêu bão Mangkhut đổ bộ Cagayan.
Tất Đạt
Tin bài liên quan
Các tin bài khác
Thời tiết hôm nay (19/3): Miền Bắc sương mù bao phủ, trưa và chiều hửng nắng
Thời tiết hôm nay (17/3): Hà Nội lạnh về sáng sớm và đêm
Dự báo thời tiết các khu vực trên cả nước dịp bầu cử đại biểu Quốc hội khóa XVI
Thời tiết hôm nay (11/3): Miền Bắc rét về đêm và sáng, ngày nắng
Đọc nhiều
Trồng cây hữu nghị tại Cần Thơ
“Em yêu tiếng Việt” tại Luang Prabang: Vun đắp hữu nghị Việt Nam – Lào
Nhà giàn DK1/11 hỗ trợ cấp cứu ngư dân bị nạn
Thủ tướng Phạm Minh Chính tiếp Đại sứ Nhật Bản tại Việt Nam
Bờ cõi biển đảo
Miền đất - Con người Cuộc sống vùng biên Nhịp sống biển đảo Lịch sử chủ quyền Giao lưu hữu nghị
Nhà giàn DK1/11 hỗ trợ cấp cứu ngư dân bị nạn
Tập trung khắc phục khuyến nghị của EC về chống khai thác IUU
Vùng 5 Hải quân cấp 40.000 lít nước ngọt cho người dân đảo Hòn Chuối
[Video] Cử tri cả nước nô nức đi bầu cử đại biểu Quốc hội khóa XVI và HĐND các cấp
[VIDEO] Tinh thần dân chủ của nhân dân Việt Nam trong bầu cử
Tổ chức Giao lưu Quốc tế Việt Nam Nhật Bản (FAVIJA): thúc đẩy hữu nghị, hợp tác đa phương
[Video] Vũ điệu chúc xuân sôi động của Đại sứ Hà Lan tại Việt Nam
[Video] Đại sứ Lào tại Việt Nam tin tưởng Đại hội XIV sẽ tạo động lực mạnh mẽ cho Việt Nam phát triển toàn diện
[Video] WVIV thúc đẩy nông nghiệp tái sinh, nâng cao sinh kế cộng đồng tại Thanh Hóa
[Video] Plan International và Tỉnh Đoàn Quảng Trị xây dựng lực lượng thanh niên hành động vì khí hậu
[Video] 10 sự kiện văn hóa, thể thao và du lịch tiêu biểu năm 2025
Plan International Việt Nam hỗ trợ khẩn cấp hơn 1,8 tỷ đồng cho người dân Đà Nẵng sau bão
Vietnam Happy Fest 2025: Lan tỏa những giá trị hạnh phúc giữa lòng Hà Nội
[VIDEO] Tổ chức Cứu trợ Trẻ em tiếp sức trẻ em Bắc Ninh sớm quay về nhịp sống sau thiên tai
[Video] World Vision hỗ trợ hơn 1.100 người dân Quảng Ngãi tiếp cận nước sạch bền vững
[Video] Đồng tâm, dốc sức cứu trợ đồng bào vùng lũ
[Video] Ấn Độ tặng Giải thưởng Hòa bình Romesh Chandra cho bà Nguyễn Thị Bình




